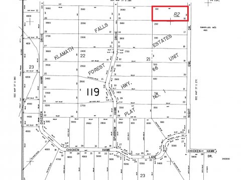
This land is on Night Owl Dr. in Klamath Falls Forest Estates.
Check out a video taken from this property:
Perfect blend of trees and sunlight perfect to setup a weekend camping trip and scout out the best places to build your future retirement home.
There are good trees on property. Soft dirt surrounded by some rocks in the ground. The lot slopes very gently north to south between 5-10 feet total. This is a mostly flat lot.
There is a good dirt road to this property. There are some scattered houses in the area but they are concealed because of the nice trees throughout the area.
There are enough trees on this land to offer privacy and shade but good amounts of clear areas as well. Combined with the nice rural nature you have an excellent opportunity to enjoy everything about being outside of the rat race.
You have the freedom here to live life without being bothered. Whether you are camping for the summer or building a long term residence this can be done from this lot.
The property has good access and is about 1 mile from OR-140.
All pictures are taken from the actual property.
Check out more information on how things work.
County: Klamath
APN: R398563
Legal Description: Klamath Falls Forest Estates Hwy 66 Plat #1, Block 21, Lot 16
Tax Lot: R-3711-028D0-00100-000
Size: 2.27 Acres
Terrain: Treed, flat
Elevation: 4,925 ft
Access: Night Owl Dr is very close to Route 140. Take Sparrow Rd and make a quick left of Sailfish Ln and drive for .4 miles. Turn left onto Night Owl Dr and the property is .4 miles on your right
Approx GPS:
NE 42.332981, -121.409994
SE 42.332441, -121.409994
SW 42.332439, -121.411829
NW 42.33299, -121.411829
Water: Dig a well or Haul it in.
Electricity: Solar
Septic: Needed if you build
Conveyance: Warranty Deed
Zoning: R-2 (1 house). Call 541-883-5121 or 800-426-9763 for zoning department before you attempt to build anything.
Manufactured homes allowed.
Septic required if you build
Animals are allowed please check on limits.
Camping is allowed for 21 days. Posted permit required anything beyond 7 days. Please check with planning and zoning on camping and acceptable living conditions.
